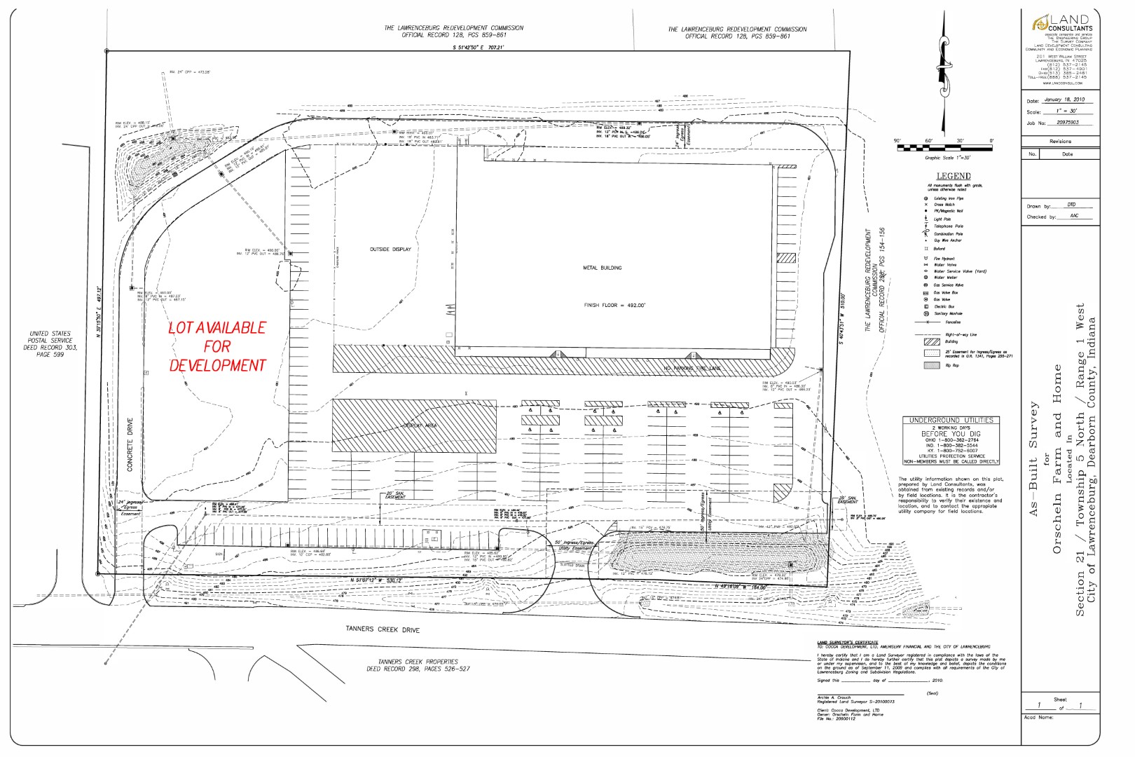
52,500 sq ft building with Orscheln Farm & Home on 8.06 acres of land with availability for future development