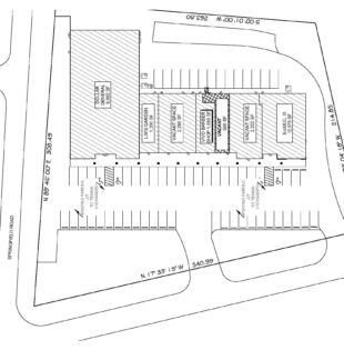
19,550 sq ft multi-tenant building with Dollar General, Lin’s Garden Chinese Restaurant, Vivo’s Barbierre, and The Barrel Room with suites of 2,280 sq ft and 3,212 sq ft available for lease